ബംഗാള് ഉള്കടലില് രൂപംകൊണ്ട ന്യൂനമര്ദം ശക്തിപ്രാപിച്ചതായി കാലാവസ്ഥാ നിരീക്ഷണ കേന്ദ്രത്തിന്റെ മുന്നറിയിപ്പ്; കേരളത്തില് 2 ദിവസം ഒറ്റപ്പെട്ട മഴയ്ക്ക് സാധ്യത
Mar 5, 2022, 10:44 IST
ADVERTISEMENT
ADVERTISEMENT
ADVERTISEMENT
ADVERTISEMENT
ADVERTISEMENT
ADVERTISEMENT
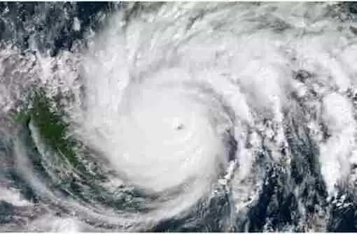
തിരുവനന്തപുരം: (www.kvartha.com 05.03.2022) ബംഗാള് ഉള്കടലില് രൂപംകൊണ്ട ന്യൂനമര്ദം ശക്തിപ്രാപിച്ചതായി കാലാവസ്ഥാ നിരീക്ഷണ കേന്ദ്രത്തിന്റെ അറിയിപ്പ്. തെക്ക് പടിഞ്ഞാറന് ബംഗാള് ഉള്കടലിലാണ് തീവ്ര ന്യൂനമര്ദം ശക്തി പ്രാപിച്ച് അതിതീവ്ര ന്യൂന മര്ദമായി മാറിയത്. ഈ സാഹചര്യത്തില് കേരളത്തില് മാര്ച് ഏഴ്, എട്ട് തീയതികളില് ഒറ്റപ്പെട്ട മഴയ്ക്ക് സാധ്യതയുണ്ടെന്ന് കാലാവസ്ഥാ നിരീക്ഷണ കേന്ദ്രത്തിന്റെ മുന്നറിയിപ്പ്.
ഞായറാഴ്ച രാവിലെ ( മാര്ച് 5) വരെ വടക്ക് പടിഞ്ഞാറ് ദിശയില് ശ്രീലങ്കയുടെ കിഴക്കന് തീരത്തിലൂടെ സഞ്ചരിക്കുന്ന അതി തീവ്ര ന്യുന മര്ദം തുടര്ന്നുള്ള 36 മണിക്കൂറില് പടിഞ്ഞാറ് - വടക്ക് പടിഞ്ഞാറ് ദിശയില് സഞ്ചരിച്ചു തമിഴ് നാടിന്റെ വടക്കന് തീരത്തേക്ക് നീങ്ങാന് സാധ്യതയെന്ന് കേന്ദ്ര കാലാവസ്ഥാ വകുപ്പ് അറിയിക്കുന്നു. ഇതോടെ കേരളത്തില് മാര്ച് ഏഴ്, എട്ട് തീയതികളില് ഒറ്റപ്പെട്ട മഴക്ക് സാധ്യതയെന്നാണ് കാലാവസ്ഥാ നിരീക്ഷണ കേന്ദ്രം അറിയിക്കുന്നത്.
നിലവില്, ട്രിങ്കോമലിക്ക് 220 കി മി വടക്ക് കിഴക്കായും നാഗപ്പട്ടണത്തിന് 320 കി മി കിഴക്ക് - തെക്ക് കിഴക്കായും പുതുച്ചേരിയില് നിന്ന് 380 കി മി കിഴക്ക് - തെക്ക് കിഴക്കായും ചെന്നൈയില് നിന്ന് 420 കി മി തെക്ക് - തെക്ക് കിഴക്കായുമാണ് ന്യൂനമര്ദം സ്ഥിതി ചെയ്യുന്നത്.
കേരള - കര്ണാടക - ലക്ഷദ്വീപ് തീരങ്ങളില് മീന് പിടുത്തത്തിന് തടസമില്ലെന്ന് കേന്ദ്ര കാലാവസ്ഥാ വകുപ്പ് അറിയിച്ചു.
ഇവിടെ വായനക്കാർക്ക് അഭിപ്രായങ്ങൾ
രേഖപ്പെടുത്താം. സ്വതന്ത്രമായ
ചിന്തയും അഭിപ്രായ പ്രകടനവും
പ്രോത്സാഹിപ്പിക്കുന്നു. എന്നാൽ
ഇവ കെവാർത്തയുടെ അഭിപ്രായങ്ങളായി
കണക്കാക്കരുത്. അധിക്ഷേപങ്ങളും
വിദ്വേഷ - അശ്ലീല പരാമർശങ്ങളും
പാടുള്ളതല്ല. ലംഘിക്കുന്നവർക്ക്
ശക്തമായ നിയമനടപടി നേരിടേണ്ടി
വന്നേക്കാം.

